Russula emética Fr ex Schff

Rúsula roja de láminas blancas incluso en la madurez, con cutícula un poco viscosa que se despega fácilmente casi toda y con carne fuertemente picante que la hace incomible e incluso vomitiva. VER DESCRIPCIÓN COMPLETA.
Bajo el sombrero presenta láminas finas y apretadas, adnatas, blancas incluso en la madurez y frágiles al presionarlas.
Sección transversal de una lámina donde se aprecia una estructura o trama interna de tipo himeniforme, formada por hifas con numerosas células esféricas o globulosas, esferocistos,  que dan consistencia a las láminas y hacia los lados, las caras, dan lugar a estructuras diferenciadas, basidios y basidiolos.
Toda la superficie de las láminas, las caras, está tapizada de células que emergen de las hifas perpendicularmente a la superficie, más o menos ventrudos o cilíndricos que son los basidios y basidiolos.
Los basidiolos son más pequeños, más claramente claviformes como bates con terminación redondeada mientras que los basidios son más grandes, más gruesas y con terminación un poco adelgazada y coronada por cuatro pedúnculos, los esterigmatos, en cuya extremidad se forman las esporas.

De manera dispersa en las caras y más abundantes en los bordes o aristas de las láminas surgen otras células diferenciadas, los cistidios, lanceolados y ventrudos, adelgazados en la extremidad y algunos estrangulados en el ápice en un apéndice.
Entre todas las láminas se producen grandes cantidades de esporas incoloras al microscopio, pero blancas en masa que no alteran la coloración blanca original de las láminas y que dejan una mancha blanca si las dejamos unas horas sobre una superficie, la esporada.
Sin embargo observadas en Melzer o aplicando una pequeña gota de lugol sobre la esporada se vuelven grisáceas o negras debido a su contenido en almidón.

Las esporas son esféricas a anchamente elipsoidales, con paredes decoradas con verrugas y cortas crestas unidas en red que se tiñen de grisáceo con el yodo, amiloides, debido a su composición en almidón.
Superficie del sombrero, lisa o un poco rugosa, no estriada, un poco viscosa en tiempo húmedo y de un bello color rojo o rosa vivo que se puede levantar desde el margen casi completamente.
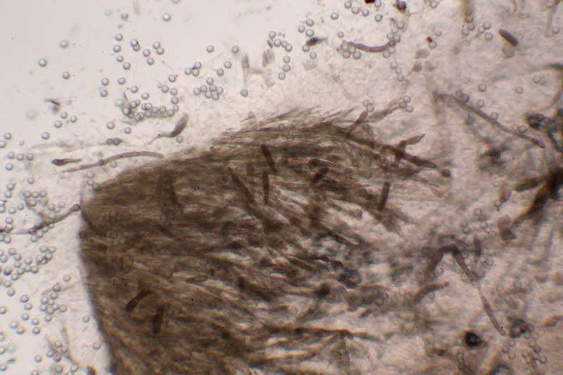
Una pequeña porción de cutícula depositada sobre una gota de sulfovanilina se decolora casi completamente y solo deja ver un conjunto de cistidios o dermatocistidios que se vuelven intensamente grises.

Estos cistidios son muy numerosos y presentan forma fusiforme o claviforme, en forma de puro con uno o dos tabiques. (dos fotos)
En sección transversal de la capa superficial del sombrero en agua se aprecia en la parte superior de la foto las hifas más superficiales de la cutícula pigmentadas de rojo y responsables de la coloración del sombrero, con numerosos cistidios o dermatocistidios y debajo la carne o trama con numerosos esferocistos.

La carne del sombrero está constituida por hifas entremezcladas con numerosas células esféricas o globulosas por donde se parten sin dejar filamentos por lo que presenta una carne compacta pero de fractura granuda, no astillosa.
Por el contrario la capa superficial está formada por una cutícula filamentosa formada por  pelos sinuosos y algunos ramificados con paredes gelificadas que hacen verse separados en las preparaciones acuosas, intercalados con numerosos cistidios en forma de puro  con uno o dos tabiques, grisáceos con sulfobenzaldehido o sulfovanilina.
Superficie del pie completamente blanca y ligeramente rugosa.
Con el guayacol la superficie del pie y la carne dan una coloración azul muy pálido y muy lentamente mientras que con el sulfato de hierro dan una coloración rosa o anaranjada.
La estructura interna del pie es parecida a la del sombrero, formada por hifas con numerosos esferocistos, pero más compactados y con menos células filamentosas por lo que resulta más duro y compacto que la carne del sombrero y por supuesto igualmente con fractura granuda. La capa superficial, arriba de la foto, está formada, igual que en el sombrero, por hifas filamentosas dispuestas de manera paralela y longitudinal al pie y muy apretadas lo que le da cierta impermeabilidad.
Detalle de la trama interna del pie formada por hifas con la mayor parte de las células globulosas o esféricas, tipo esferocisto.


La superficie del pie está constituida por una fina capa de hifas filamentosas, delgadas, con tabiques desprovistos de fíbulas y dispuestas de manera, longitudinal, paralelas entre sí y muy compactadas.